Cuba pronostica incremento de lluvias y vientos ante proximidad de Melissa...
Santiago de Cuba, Cuba, 28 oct (EFE).- El Instituto de Meteorología (Insmet) de Cuba pronosticó que desde este martes comenzarán a incrementarse las lluvias,...
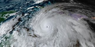
El huracán Melissa, de categoría 5, azota Jamaica con vientos y...
Miami (EE.UU.), 28 oct (EFE).- El huracán Melissa, de categoría 5, amenaza con convertirse en uno de los huracanes más devastadores de los últimos...
La Fed se reúne con expectativas de otro recorte de tipos...
Washington, 28 oct (EFE).- El Comité Federal de Mercado Abierto (FOMC) de la Reserva Federal inició este martes su reunión de dos días sobre...
Embajadora de España en EEUU se reúne con empresarios españoles en...
San Juan, 28 oct (EFE).- La embajadora de España en Estados Unidos, Ángeles Moreno Bau, se reunió este martes con a dirigentes de empresas...
ONG exhortan a Senado mexicano a no retroceder en impuesto a...
Ciudad de México, 28 oct (EFE).- Grupos civiles, especialistas en salud pública y activistas se manifestaron este martes para exhortar al Senado mexicano a...
Díaz-Canel pide respetar medidas para evitar muertes y daño en Cuba...
La Habana, 28 oct (EFE).- El presidente de Cuba, Miguel Díaz-Canel, llamó a respetar las medidas de la Defensa Civil para evitar muertes y...
Avión cazahuracanes de EEUU es forzado a regresar por turbulencias muy...
Miami (EE.UU.), 28 oct (EFE).- Un avión cazahuracanes de Estados Unidos se vio obligado a regresar a su base en la isla de Curaçao...
República Dominicana llama a “no bajar la guardia” ante el poderoso...
Santo Domingo, 28 oct (EFE).- Los efectos indirectos del huracán Melissa, que tocó tierra este martes en Jamaica, seguirán generando lluvias en República Dominicana...
Cerca de 240.000 clientes sin luz en Jamaica por las fuertes...
San Juan, 28 oct (EFE).- La Compañía de Servicios Públicos de Jamaica (JPS, en inglés) informó este martes de cerca de 240.000 jamaicanos, alrededor...
Crece inquietud por atrasos y cancelaciones de vuelos por cierre de...
Washington, 28 oct (EFE).- La inquietud en EE.UU. va este martes en aumento ante un probable incremento de atrasos y cancelaciones de vuelos a...

















